Lola’s Lucky Legs!
Lola, a gorgeous 6-month old Golden Retriever, presented to the clinic with some unusual behaviour. She had started to bite at the air, an action termed “fly biting”. This can be both behavioural or related to pain or discomfort. It then progressed to her more specifically snapping at her hips regularly.
After some discussion of options it was deemed necessary to take some radiographs of her hips to check for signs of laxity or anything that could be causing discomfort before considering behavioural causes.
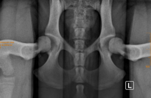
Lola was booked in for a procedure call “PennHip” radiographs. PennHip is a hip screening procedure developed by the University of Pensylvania. The radiographs are assessed and compared to a comprehensive medical database and indicate the individual animals risk of developing osteoarthritis from Canine Hip Dysplasia. The radiographs can be used as a screening tool in animals as young as 14 weeks to screen for risk and allow early intervention (Keep your eyes out for a story on Dr. Jaimie’s own pup Doug and his story!).
Dr Jenny performed Lola’s PennHIP radiographs and when we received the report it was found she has significant laxity in both hips- and was likely suffering already due to her conformation! Her pain was managed with oral medications and the fly biting resolved straight away!

Due to the extent of her issues the surgical specialist at SASH Kent Town was consulted. They advised that she was an excellent candidate for a specialist surgical procedure called a Double Pelvic Osteotomy for both of her hips. The goal of this surgery is to improve the fit of the head of the femur (ball) into the acetabulum (socket).
She had this procedure at SASH last month and hasn’t looked back since!
Her story highlights the importance of working up those funny and unusual clinical signs – we don’t always expect the things we find! It was well worth having those radiographs done so her owner could take the steps to markedly improve both her current and future quality of life! She can continue her active life of camping, beach outings and farm life well into the future!